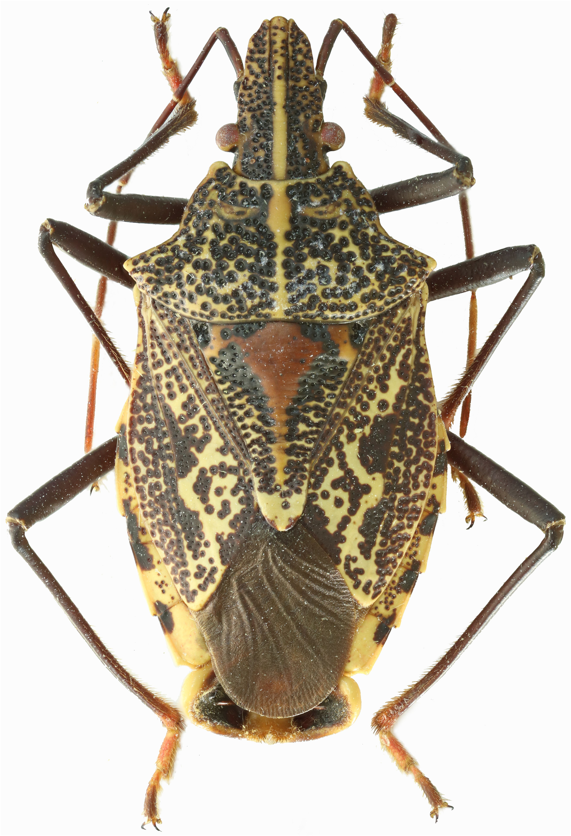
Acanthidiellum punctatissimum ( Montrouzier, 1858 ), 2025

Rider, David A., Edkins, Keith & Kment, Petr, 2025, Acanthidiellum Kirkaldy, 1904 a valid substitute name for the preoccupied Acanthidium Montrouzier, 1858 and Polycarmes Stål, 1868 (Hemiptera: Heteroptera: Pentatomidae), Zootaxa 5696 (2), pp. 279-285 : 282

publication ID

https://doi.org/10.11646/zootaxa.5696.2.7

publication LSID

lsid:zoobank.org:pub:6DFD7413-F8B2-489C-8018-9B8EE2689B04

persistent identifier

https://treatment.plazi.org/id/03B7D36F-FFB5-1957-7B8E-E9818F8DFCF3

treatment provided by

Plazi

scientific name

Acanthidiellum punctatissimum ( Montrouzier, 1858 )
status

comb. nov.

Kingdom

Animalia

Genus

Acanthidiellum

Loc

Acanthidiellum punctatissimum ( Montrouzier, 1858 )

Rider, David A., Edkins, Keith & Kment, Petr 2025
2025
Loc

Acanthidium punctatissimum

Montrouzier, P. 1858: 251
1858
Darwin Core Archive (for parent article) View in SIBiLS Plain XML RDF