Rogasodes indicus Gupta & Pattar, 2025

Pattar, Rohit & Gupta, Ankita, 2025, New species of Rogasodes Chen & He and Wesmaelia Foerster (Hymenoptera: Braconidae) from India, Zootaxa 5683 (3), pp. 433-442 : 434-436

publication ID

https://doi.org/10.11646/zootaxa.5683.3.6

publication LSID

lsid:zoobank.org:pub:18CEA621-F9EE-46DA-809E-C82EFCCFE742

DOI

https://doi.org/10.5281/zenodo.17016200

persistent identifier

https://treatment.plazi.org/id/8E0A87E5-FFDA-FF91-FF71-6763FEFDD623

treatment provided by

Plazi

scientific name

Rogasodes indicus Gupta & Pattar
status

sp. nov.

Rogasodes indicus Gupta & Pattar sp. nov.

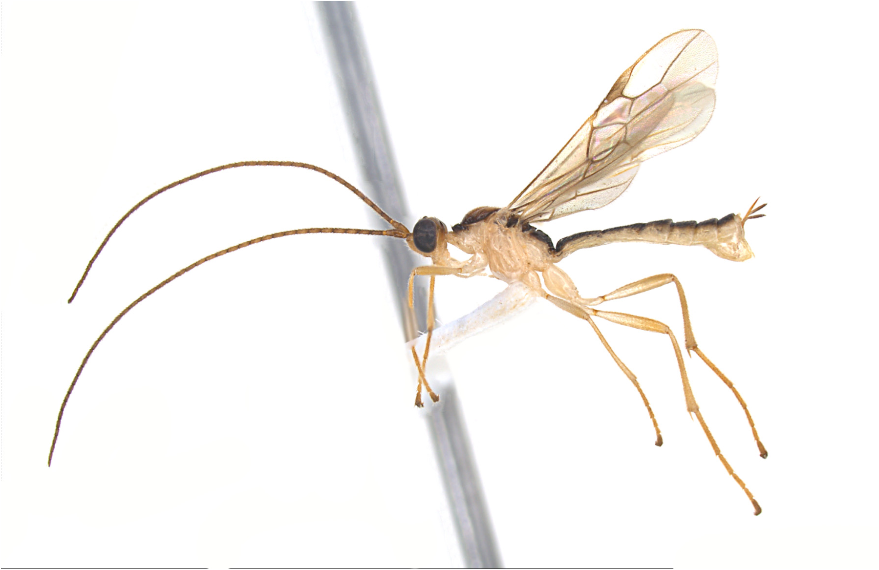
( Figs 1–3 View FIGURE 1 View FIGURE 2 View FIGURE 3 )

Material examined. Holotype: female on card; INDIA: Karnataka: Mudigere ; 11.xi.2024; sweep net; coll. R. Pattar; Code- NIM/ NBAIR /Brac/Roga/Roga/111124-H ( NIM) . Paratype: One male on card; same data as holotype; Code- NIM/ NBAIR /Brac/Roga/Roga/111124-P ( NIM).

Description of female. Length of body 5.3 mm ( Fig. 1 View FIGURE 1 ); length of fore wing 4.12 mm ( Fig. 3A View FIGURE 3 ).

Head. Antenna with 44 antennomeres ( Fig. 2G View FIGURE 2 ); with long setosity. Apical antennomere acuminate; subapical antennomere 0.88 × apical antennomere. Median antennomeres oblique in lateral view, about 3 × longer maximally than wide. F1 2.37 × longer than wide, 1.1 × longer than F2 and F3, respectively. F2 and F3 2.57 × as long as wide, respectively. Face strongly protruding. Width of face 0.88 × length of face and clypeus combined. Height of clypeus: inter-tentorial distance: tentorio-ocular distance 1.0: 6.0: 2.6; distance between tentorial pits 2.3 × distance between pit and eye margin. Head short, 1.46 × wider than maximally long in dorsal view (length measured from occipital carina to front of face). Width of head 2.9 × shortest distance between eyes (in dorsal view). Eyes very large, strongly emarginate ( Fig. 2A View FIGURE 2 ). Height of eye 1.4 × shortest distance between eyes. Eye length in dorsal view 3.3 × as long as temple ( Fig. 2B View FIGURE 2 ); in lateral view, width of eye 3.2 × as long as temple ( Fig. 2C View FIGURE 2 ). Face laterally rugose with oblique striations, smooth in the middle; frons, vertex and temple almost smooth. Malar space 1.36 × as long as mandible width; mandible width 0.6 × as long as hypoclypeal depression. Posterior ocellar line: transverse diameter of posterior ocellus: shortest distance between posterior ocellus and eye 1.0: 2.0: 1.75; OOL 1.8 × as long as POL ( Fig. 2B View FIGURE 2 ); distance between front and hind ocelli 0.8 × as long as OOL. Head strongly narrowed behind eyes. Occiput largely smooth and shiny with weak irregular striations. Occipital carina concave with a laterally protruding flange.

Mesosoma. Mesosoma 1.63 × as long as high ( Fig. 2D View FIGURE 2 ). Pronotum strongly protruding in front of mesoscutum with imbricate sculpture in the middle, crenulate laterally ( Fig. 2E View FIGURE 2 ). Mesoscutum largely smooth and shiny, with long setae ( Fig. 2E View FIGURE 2 ). Middle lobe of mesoscutum strongly protruding in front of lateral lobes. Notauli strongly impressed and crenulate throughout; posteriorly merging into a weakly depressed area ( Fig. 2E View FIGURE 2 ). Mesopleuron smooth and shiny; mesopleural sulcus deep and crenulate, sloping ventrally posteriorly ( Fig. 2D View FIGURE 2 ). Scutellar sulcus with complete median carina and 3−4 incomplete short carinae laterally. Scutellum smooth and shiny. Propodeum strongly arched in lateral profile; with median areola; laterally and basally with several oblique well-developed carinae, posteriorly with strong transverse to irregular carinae ( Fig. 2F View FIGURE 2 ).

Wings. Fore wing ( Fig. 3A View FIGURE 3 ): length of veins r: 3-SR: SR1 = 1.0: 2.66: 5.5; 3-SR 2.66 × r; r-m 0.55 × 2-SR. Length of veins m-cu: 2-SR+M = 2.6: 1.0. Vein 1-SR+M very weakly sinuate. Veins 1-M and m-cu almost straight. Vein CU1b absent. Vein cu-a solid, postfurcal to vein 1-M. Hind wing ( Fig. 3B View FIGURE 3 ): Vein M+CU 1.2 × length of vein 1-M.

Legs. Length of fore femur (excluding trochantellus): tibia: tarsus = 0.92: 1.01: 1.05. Length of hind femur (excluding trochantellus): tibia: basitarsus = 1.03: 1.17: 2.02; length of femur, tibia, and basitarsus of hind leg 7.1, 10.1 and 6.3 × their width, respectively. Apex of hind tibia with setal comb on inner face. Hind spurs setose and nearly straight ( Fig. 3F View FIGURE 3 ). Hind basitarsus 11.0 × longer than maximally deep. Claws with large, acutely pointed basal lobe ( Fig. 3G View FIGURE 3 ).

Metasoma. Metasoma largely strongly longitudinally striate with interspaces coriaceous ( Fig. 3E View FIGURE 3 ); with six fully exposed, sculptured tergites ( Fig. 3D View FIGURE 3 ). First tergite 1.2 × longer than posteriorly wide; with longitudinal striation and complete strong mid-longitudinal carina. Second metasomal tergite more than 1.7 × longer than third medially; second metasomal tergite 1.1 × wider posteriorly than medially long; largely finely longitudinally striate, with a well-developed mid-basal triangular area occupying one-fourth basal width of tergite, and with complete mid-longitudinal carina. Second suture fused. Third tergite 1.8 × wider than medially long. Ovipositor sheath distinctly protruding beyond apex of metasoma.

Colour. Body largely off-white; mesopleuron and metapleuron off-white, black dorsally; antenna yellowish brown, joints darker; eyes, stemmaticum, pronotum medially, mesoscutum narrowly laterally (with long white setae), axillary region, propodeum (except lateral edges), metasomal tergites 1–6 medially (except lateral edges) almost black. Coxae, trochanter, trochantelli off white, remaining light yellow. Wings sub-hyaline with brown venation and pterostigma brown with apical one third pale yellow. Ovipositor sheaths partially brown in apical half.

Male. Similar to female in general appearance and colouration.

Etymology. The species name ‘ indicus ’ refers to the country ( India) from where it was collected.

Comments. This species comes close to R. masaicus Chen & He 1997 from China in having cu-a vein of fore wing postfurcal to 1-M vein; 2-SC+R quadrate; marginal cell widened basally, narrowed medially, parallel-sized apically however can be separated from the latter in having F1 2.37 × longer than wide (3.7 × in R. masaicus ); F1 1.1 × as long as F2 (1.5 × F 2 in R. masaicus ); OOL 1.8 × as long as POL (1.5 × in R. masaicus ); length of femur, tibia, and basitarsus of hind leg 7.1, 10.1 and 6.3 × their width, respectively (5.2, 9.2 and 10.0 × their width, respectively in R. masaicus ).

This species can be separated from R. scytaloptericola Quicke & Shaw, 2005 from Indonesia in having cu-a vein of fore wing postfurcal to 1-M vein (cu-a interstitial in R. scytaloptericola ); pterostigma brown with apical one third pale yellow (uniformly dirty yellow in R. scytaloptericola ); F1 2.37 × longer than wide (4.1 × in R. scytaloptericola ); F1 1.1 × longer than F2 and F3, respectively (1.7 and 1.9 × longer than F2 and F3, respectively); OOL 1.8 × as long as POL (2.25 × in R. scytaloptericola ); hind basitarsus 11.0 × as long as wide (9.3 × in R. scytaloptericola ).

This species can be separated from R. phongi Long & Hoa (2018) from Vietnam in having antenna with 44 antennomeres ( 50 in R. phongi ); OOL 1.8 × as long as POL (OOL 1.5 × as long as POL in R. phongi ); malar space 1.36 × as long as mandible width (subequal in R. phongi ); mandible width 0.6 × as long as hypoclypeal depression (0.85 × in R. phongi ); propodeum majorly black (except lateral edges) (propodeum black basomedially, cream laterally in R. phongi ); vein M+CU 1.2 × length of vein 1-M (M+CU as long as vein 1-M in R. phongi ); length of femur, tibia, and basitarsus of hind leg 7.1, 10.1 and 6.3 × their width, respectively (6.1 ×, 8.6 × and 8.75 × their width in R. phongi ).

R

Departamento de Geologia, Universidad de Chile

NIM

Museum d'histoire naturelle de Nîmes

Kingdom

Animalia

Phylum

Arthropoda

Class

Insecta

Order

Hymenoptera

Family

Braconidae

Genus

Rogasodes

GBIF Dataset (for parent article) Darwin Core Archive (for parent article) View in SIBiLS Plain XML RDF