Macrosiagon ferruginea (Fabricius, 1775)

Fancello, Luca, Cillo, Davide & Bazzato, Erika, 2016, Sulla presenza di Macrosiagon ferruginea (Fabricius, 1775) nella Penisola Balcanica (Coleoptera, Ripiphoridae, Ripiphorinae, Macrosiagonini), Revista gaditana de Entomología 1, pp. 479-487 : 480-486

publication ID

https://doi.org/10.5281/zenodo.16979061

publication LSID

lsid:zoobank.org:pub:43721E00-BD8E-4840-B71F-456DE2DF9C1C

persistent identifier

https://treatment.plazi.org/id/9004879D-FFA3-FF80-FF58-7F65FBA0FED3

treatment provided by

Felipe

scientific name

Macrosiagon ferruginea (Fabricius, 1775)
status

 

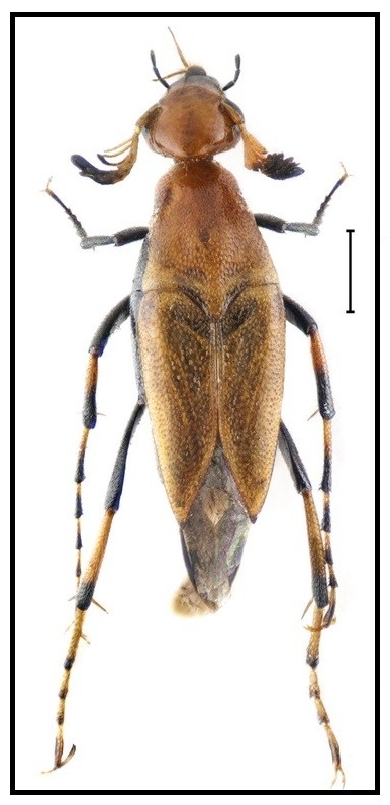
Macrosiagon ferruginea (Fabricius, 1775) ( Fig. 1 View Fig )

Grecia: Chalkidiki Peninsula : Sithonia, Kalamitsi, 1 esemplare, ottenuto il 25.VI.2014

da nido di Eumenidae gen. sp. raccolto il 9.IV.2014, leg. L. Fancello (coll. Fancello, Cagliari).

L. Fancello, D.Cillo & E. Bazzato. Sulla presenza di Macrosiagon ferruginea (Fabricius, 1775) nella Penisola Balcanica ( Coleoptera , Ripiphoridae , Ripiphorinae , Macrosiagonini )

La fauna a Ripiphoridae di Grecia e Turchia è stata recentemente oggetto di studio e compilazione da parte di Batelka (2007), che segnala con certezza per il territorio greco due sole specie di Macrosiagon : M. bimaculata (Fabricius, 1787) e M. praeusta (Gebler, 1829) , entrambe diffuse in Grecia continentale, Peloponneso e Creta (Batelka, 2007, 2011a). Nello stesso lavoro monografico sui ripiforidi greci e turchi, l'autore ricorda che della Grecia centrale è stata pure descritta M. pectinata ( Villers, 1790) [ nec M. pectinata (Fabricus, 1775) ], il cui locus typicus è indicato col toponimo “Cambonium”. Secondo Batelka (2007: pag. 161), tale località è forse da riferire a “Voluzza Mts, between Macedonia and Thessalia ”; la specie di Villers è considerata un sinonimo di M. ferruginea (cfr. Batelka, 2007, 2008), entità per la quale non sono note in letteratura ulteriori segnalazioni per la Grecia, tanto che il vecchio dato di Villers viene omesso in Faunaeur e rimane l'unica fonte alla quale fa riferimento Batelka (2007, 2008) a proposito di una presenza, non documentata ma comunque probabile, di M. ferruginea in Grecia. Il reperto di M. ferruginea citato nel presente contributo costituisce quindi il primo dato certo sull’effettiva presenza di questa specie nel territorio greco e nella Penisola Balcanica, dopo più di 200 anni dalla prima citazione.

In base ai dati più recenti disponibili in letteratura ( Batelka, 2008, 2011a) la specie presenta un'ampia distribuzione generale, seppur alquanto lacunosa, in Europa, Nord Africa, Africa tropicale, Asia e Regione Orientale.

La fauna de Ripiphoridae de Grecia y Turquía ha sido objeto recientemente de estudio y recopilación por parte de Batelka (2007), quien señala con certeza para territorio griego solo dos especies de Macrosiagon : M. bimaculata (Fabricius, 1787) e M. praeusta (Gebler, 1829) , ambas distribuidas en Grecia continental, Peloponeso y Creta (Batelka, 2007, 2011a). En el mismo trabajo, este autor recuerda que de Grecia central se describió M. pectinata ( Villers, 1790) [ nec M. pectinata (Fabricus, 1775) ], y cuyo locus typicus fue indicado con el topónimo "Cambonium". Según Batelka (2007: 161), tal localidad se refiere quizás a “Voluzza Mts, between Macedonia and Thessalia ”; la especie de Villers es considerada actualmente un sinónimo de M. ferruginea (cfr. Batelka, 2007, 2008), entidad para la cual no existen datos posteriores en la literatura para Grecia, tanto es así que dicha cita de Villers se omite en Faunaeur y es la única fuente a la cual se refiere Batelka (2007, 2008)a propósito de la presencia, no documentada, pero probable, de M. ferruginea en Grecia.

La cita de esta especie en el presente trabajo constituye el primer dato cierto sobre la presencia de esta especie en territorio griego y en la península balcánica, después de más de 200 años de la primera cita.

En base a los datos más recientes disponibles en la literatura ( Batelka, 2008, 2011a) la especie presenta una amplia distribución, aunque en buena medida incompleta en Europa, norte de África, África tropical, Asia y región oriental.

Limitatamente alla sola distribuzione in Europa, M. ferruginea risulta segnalata con certezza ( Batelka, 2008; De Jong et al., 2014) esclusivamente di Francia (inclusa Corsica), Italia (incluse Sardegna e Sicilia), Malta, Spagna (incluse isole Baleari) e Slovenia, mentre la citazione di Batelka per la Grecia in Löbl & Smetana (2008) fa riferimento all'antico dato non più confermato di Villers. Una segnalazione per l'Olanda ( Heitmans et al., 1994) merita invece conferma, in quanto basata sul solo ritrovamento di individui allo stadio larvale. Infine, per quanto riguarda i paesi extraeuropei che si affacciano sul Mediterraneo, esistono segnalazioni per Marocco, Egitto, Israele, Cipro e Turchia ( Batelka, 2008).

En cuanto a la distribución europea, M. ferruginea está señalada con certeza ( Batelka, 2008; De Jong et al., 2014) exclusivamente de Francia (incluida Córcega), Italia (incluidas Cerdeña y Sicilia), Malta, España (incluidas las islas Baleares)y Eslovenia, mientras la cita de Batelka para Grecia en Löbl & Smetana (2008) hace referencia al antiguo de Villers. Una cita para Holanda ( Heitmans et al., 1994) merece confirmación, en cuanto que está basada en la captura única de un individuo en estadio larvario. Por último, en lo que respecta a los países no europeos, ribereños del mediterráneo, existen citas de Marruecos, Egipto, Israel, Chipre y Turquía ( Batelka, 2008).

L. Fancello, D.Cillo & E. Bazzato. Sulla presenza di Macrosiagon ferruginea (Fabricius, 1775) nella Penisola Balcanica ( Coleoptera , Ripiphoridae , Ripiphorinae , Macrosiagonini )

L'esemplare greco studiato, è stato El individuo griego estudiado fue ottenuto dal nido mono-cellare (fig. 2) di obtenido del nido monocelular (Fig. 2) de un eumenide non identificato, un euménido no identificado, conforme a conformemente a quanto già noto in lo que se conoce en la literatura sobre la letteratura sulla biologia di M. ferruginea , biología de M. ferruginea , es un parassitoide specializzato su parasitoide especializado sobre rappresentanti della famiglia Eumenidae , representantes de la familia Eumenidae . in parte elencati in una lista di ospiti Existe una lista de huéspedes, publicada riportata da Heitmans et al. (1994): por Heitmans et al. (1994) donde figuran

Euodynerus variegatus (Fabricius, 1793) Euodynerus variegatus (Fabricius, 1793)

[= Odynerus crenatus (Lepeltier, 1841) ], [= Odynerus crenatus (Lepeltier, 1841) ],

Euodynerus disconotatus (Lichtenstein, Euodynerus disconotatus (Lichtenstein,

1884), Symmorphus murarius (Linnaeus, 1884) , Symmorphus murarius (Linnaeus,

1758) [= Odynerus nidulator (Saussure, 1758) [= Odynerus nidulator (Saussure,

1855)], Eumenes sp. y Rhinchium 1855)], Eumenes sp. e Rhinchium oculatum (Fabricius, 1781). A estos se oculatum (Fabricius, 1781). A questi va une Synagris calida (Linnaeus, 1758) , aggiunto l'eumenide Synagris calida huésped de M. ferruginea en el Congo y (Linnaeus, 1758), ospite accertato di M. África central, en base a datos publicados ferruginea in Congo e Africa centrale, in en los inicios del siglo pasado (ver base a dati pubblicati fin dagli inizi del Bequaert, 1918; Cros, 1921; Gess & secolo scorso (cfr. Bequaert, 1918; Cros, Gess, 2014). Además, Heitmans et al. 1921; Gess & Gess, 2014). Inoltre (1994) la señalan sobre adulto de Nitela Heitmans et al. (1994) segnalano su adulti borealis Valkeila, 1974 ( Sphecidae ), di Nitela borealis Valkeila, 1974 además de sobre adultos de Chrysis ( Sphecidae ), oltreché su adulti di Chrysis angustula Schenck, 1856 y de Trichrysis angustula Schenck, 1856 e di Trichrysis cyanea (Linnaeus, 1758) ( Chrysididae ), cyanea (Linnaeus, 1758) ( Chrysididae ), il así como la captura en Holanda de larvas ritrovamento in Olanda di larve allo stadio en estado de triungulino correspondientes di triungulino corrispondenti morfológicamente a la descripción hecha morfologicamente alla descrizione fatta da por Grandi (1936) para el triungulino de Grandi (1936) per i triungulini di M. M. ferruginea . Aunque los hallazgos holandeses necesitan ser confirmados el ferruginea . Benché il reperto olandese

dato puede considerarse verosímil: de necessiti di conferma, il dato è comunque

hecho las larvas de primer estadio de las da considerarsi verosimile: infatti le larve

especies de la subfamilia Ripiphorinae al primo stadio delle specie della

muestran generalmente una gran sottofamiglia Ripiphorinae mostrano

capacidad de dispersión y son capaces, generalmente una grande capacità di potencialmente, de colonizar nuevos dispersione e sono potenzialmente capaci territorios ( Batelka, 2011b) mediante di colonizzare nuovi territori (Batelka, fenómenos de foresia. 2011b) in seguito a fenomeni di foresia.

In particolare nel caso di Macrosiagon ( Chobaut 1895; Grandi 1936; Español, 1942; Batelka, 2011b), i triungulini intercettano i potenziali ospiti sulle piante e sulle infiorescenze visitate con più frequenza dagli imenotteri. Lasciatisi trasportare fino al nido dell'imenottero, i triungulini si alimentano a spese della larva dell'ospite, realizzando la ninfosi all'interno della cella e trasformandosi in adulto dopo breve periodo ninfale. Nella regione mediterranea, fra le piante frequentate dagli adulti di M. ferruginea , si segnalano soprattutto Lamiaceae del genere Mentha : Mentha suaveolens , Mentha sp. e Mentha sativa , segnalate in Andalusia rispettivamente da Sánchez Rodríguez (2001), Bolaño & López-Colón (2006) e Barreda (2015); Mentha spicata in Egitto ( Batelka, 2011a); Mentha spp. in Italia ( Gobbi, 2002), in Francia ( Chobaut, 1895; Caillol, 1914) e a Ceuta in Nord Africa ( Ruiz, 2007); inoltre in Andalusia sono note raccolte occasionali su Jacobaea vulgaris ( Verdugo, 2010) e su ombrellifere indeterminate ( Bolaño & López-Colón, 2006), su Eryngium campestre e Daucus carota in Provenza ( Chobaut, 1895; Caillol, 1914) e su Euphorbia sp. nelle isole Baleari (cfr. Tenenbaum, 1915 - citato da Batelka, 2011a). Al di fuori dell'area mediterranea, Batelka (2011a) indica altre piante particolarmente attraenti per M. ferruginea : Sericocomopsis sp. in Kenia, Aerva jamanica in Oman, Ochradenus sp. in Emirati Arabi Uniti, Mentha longifolia in Namibia, Spermacoceae e Rubiaceae nella regione afro-tropicale.

En el caso de Macrosiagon ( Chobaut 1895; Grandi 1936; Español, 1942; Batelka, 2011b), sus triungulinos interceptan los potenciales sobre las plantas e inflorescencias visitadas con más frecuencia por los himenópteros. Dejándose transportar hasta el nido del himenóptero, los triungulinos se alimentan a expensas de la larva del huésped, realizando la ninfosis en el interior de la celda y transformándose en adulto después de un breve periodo ninfal. En la región mediterránea, entre las plantas frecuentadas por los adultos de M. ferruginea se han señalado sobre todo Lamiaceae del género Mentha : Mentha suaveolens , Mentha sp. y Mentha sativa , señaladas en Andalucía respectivamente por Sánchez Rodriguez (2001), Bolaño & López-Colón (2006) y Barreda (2015); Mentha spicata en Egipto ( Batelka, 2011a); Mentha spp. en Italia ( Gobbi, 2002), en Francia ( Chobaut, 1895; Caillol, 1914) y en Ceuta, norte de África ( Ruiz, 2007); además, en Andalucía ha sido recogida ocasionalmente sobre Jacobaea vulgaris ( Verdugo, 2010) y sobre umbelífera indeterminada ( Bolaño & López-Colón, 2006), sobre Eryngium campestre y Daucus carota en Provenza ( Chobaut, 1895; Caillol, 1914) y sobre Euphorbia sp. en las islas Baleares (Tenenbaum, 1915 - citado por Batelka, 2011a). Fuera del área mediterránea, Batelka (2011a) citas otras plantas atrayentes para M. ferruginea : Sericocomopsis sp. en Kenia, Aerva jamanica en Omán, Ochradenus sp. en Emiratos Arabes Unidos, Mentha longifolia en Namibia, Spermacoceae y Rubiaceae en la región afrotropical.

L. Fancello, D.Cillo & E. Bazzato. Sulla presenza di Macrosiagon ferruginea (Fabricius, 1775) nella Penisola Balcanica ( Coleoptera , Ripiphoridae , Ripiphorinae , Macrosiagonini )

Kingdom

Animalia

Phylum

Arthropoda

Class

Insecta

Order

Coleoptera

Family

Ripiphoridae

Genus

Macrosiagon

Darwin Core Archive (for parent article) View in SIBiLS Plain XML RDF